619 Prairie Avenue, Inglewood, CA 90301

619 Prairie Avenue, Inglewood, CA 90301

Inglewood, CA
$10,990,000

Property Description

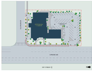
SoFi Stadium Adjacent Redevelopment Site
Address: 619 S. Prairie Avenue, Inglewood, CA 90301
Price: $10,990,000
Type: Redevelopment Site
In Place Rental Income: N/A — Owner Operated
Occupancy (Current): 100% – Lighthouse Memorials & Receptions (Owner Operator)
# Of Buildings: One (1)
Building Size: ±28,202 SF*
Land Size: ±40,580 SF* (0.93 Acres)
Ownership: Fee Simple (Land & Building)
Zoning: C-2 (General Commercial) See Zoning Summary For Additional Detail

Property Features

  • Sale Price: $10,990,000
  • Area Size: 24,818 SF

Lyon Stahl Investment Real Estate

Keep In Touch