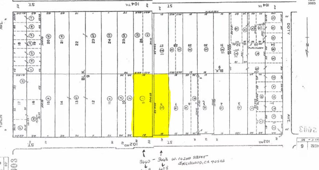
3660-3668 W 102nd St, Inglewood, CA 90303

3660-3668 W 102nd St, Inglewood, CA 90303

Inglewood, CA
5,995,000

Property Description

Stiegler | Takahashi Group is pleased to present 3660 & 3668 W 102nd St, two adjacent parcels totaling 49,355 sq ft in the heart of Inglewood’s entertainment redevelopment zone, near SoFi Stadium, The Forum, and Hollywood Park. Zoned INM1L, the lots offer flexible opportunities for industrial, commercial, office, hotel, or mixed-use development and can be sold separately or together. With strong event-driven demand and excellent walkability and transit access, this is a rare opportunity for investors and developers to capitalize on one of Inglewood’s most dynamic corridors.

Property Features

  • Sale Price: 5,995,000
  • Land Area: 1.13 AC

Lyon Stahl Investment Real Estate

Keep In Touch